Jurnal de ConstantaJurnal de Constanta
  • Politică
  • Local
  • Actual
  • Economic
  • Extern
  • Sănătate
  • Showbiz
  • Sport
Citind: Captură impresionantă în Delta Dunării: 600 kg de scrumbii fără documente confiscate de autoritățile române și DSVSA Tulcea
Distribuie
Notificare Afișați mai multe
Font +/-Aa
Font +/-Aa
Jurnal de ConstantaJurnal de Constanta
Cautare
  • Categorii
    • Actual
    • Economic
    • Extern
    • Local
    • Politică
    • Sănătate
    • Showbiz
    • Sport
  • Info
    • Contact
Urmați-ne
© 2025 jurnaldeconstanta.ro
Local

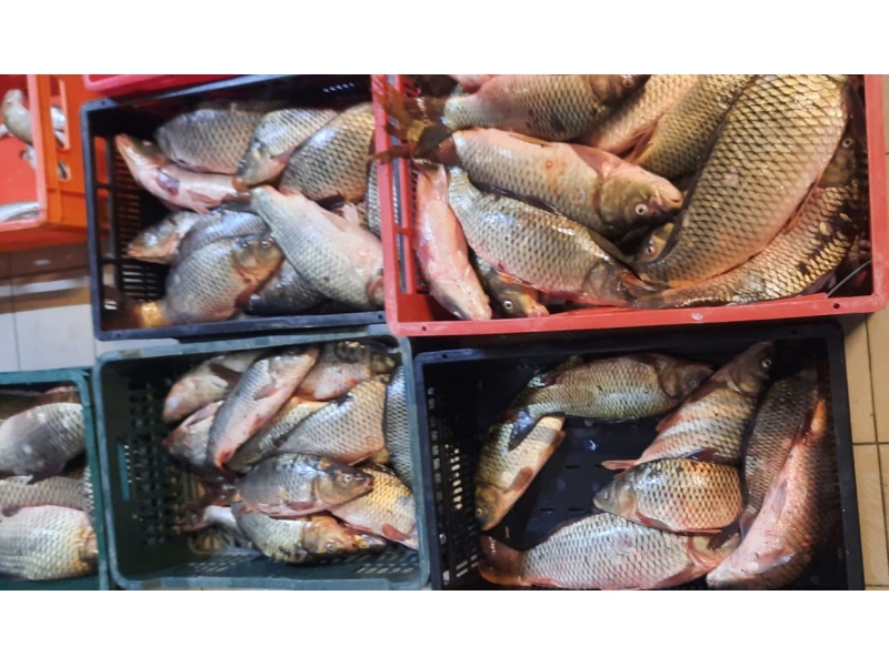
Captură impresionantă în Delta Dunării: 600 kg de scrumbii fără documente confiscate de autoritățile române și DSVSA Tulcea

Gheorghe Panu
Ultima actualizare: 25/04/2026 11:44
Gheorghe Panu
312
Distribuie
1 Min Citire
captura uriasa in in delta 600 kg de scrumbie fara acte confiscate de politia romana si dsvsa tulcea 69ec8c887e9d8
Distribuie

Captură impresionantă în Delta Dunării

Autoritățile române, împreună cu reprezentanții Direcției Sanitare Veterinare și pentru Siguranța Alimentelor (DSVSA) Tulcea, au desfășurat o acțiune de amploare în județul Tulcea, unde au confiscat 600 de kilograme de scrumbie fără documente de proveniență. Aceasta a avut loc la o societate comercială din localitatea Uzlina.

Conform declarațiilor reprezentanților societății, întreaga cantitate de pește era destinată comercializării în cadrul unei pensiuni. Cu toate acestea, peștele a fost indisponibilizat și predat DSVSA Tulcea pentru a fi distrus, iar autoritățile au întocmit un dosar penal pentru infracțiunea de comercializare fără documente de proveniență a peștelui și a altor viețuitoare acvatice obținute din pescuit.

Polițiștii din județul Tulcea reamintesc operatorilor economici obligația de a respecta prevederile legale privind proveniența, depozitarea și comercializarea produselor de origine animală, având în vedere protejarea sănătății publice și combaterea faptelor de natură penală.

Știri asemănătoare

Magia cerului: Ploaia de meteori Lyride, un spectacol pe care îl poți observa cu ochiul liber când va atinge apogeul

Foc devastator în cimitirul din Tulcea: Pompierii intervin cu trei autospeciale pentru a stinge incendiul de vegetație uscată.

Ultimul omagiu adus avocatei Isabela Cristina Bucur din Baroul Constanța: un suflet de aur se îndreaptă spre cer

Noua stea a echipei naționale: cine va conduce România pe teren?

Tragedie pe șoselele din Bugeac, Constanța: coliziune fatală între un autoturism și un tractor

Etichete:captura scrumbiicomercializare ilegaladelta dunariidsvsa tulceasănătate publică

Sign Up For Daily Newsletter

Be keep up! Get the latest breaking news delivered straight to your inbox.
[mc4wp_form]
By signing up, you agree to our Terms of Use and acknowledge the data practices in our Privacy Policy. You may unsubscribe at any time.
Distribuie acest articol
Facebook Copiază legătură Imprimare
Distribuie
Articolul precedent proiect depus in parlament reguli noi in codul rutier pentru formarea culoarului de salvare in trafic 69ec8acb1c665 Propunere legislativă în Parlament: noi reglementări pentru crearea „culoarului de salvare” în trafic
Articolul următor news alert dsu drona prabusita in galati are incarcatura exploziva gazul a fost intrerupt pe 20 de strazi sute de oameni evacuati temporar 69ec8e48eae72 Alertă de urgență: drona căzută în Galați conține explozibil. Sute de locuitori evacuați temporar, gazul oprit pe douăzeci de străzi
Lasa un comentariu Lasa un comentariu

Lasă un răspuns Anulează răspunsul

Adresa ta de email nu va fi publicată. Câmpurile obligatorii sunt marcate cu *

Ultimele stiri

iran executa un barbat acuzat de legaturi cu mossad dupa protestele din ianuarie 69ec9fdc3c1bc
Iranul aplică pedeapsa capitală unui bărbat suspectat de colaborare cu Mossad în urma tumultului din ianuarie
25/04/2026
322
interventie de urgenta la un centru medical din eforie nord dupa ce mai multe persoane au acuzat stari de rau 69ec9ed4b1b14
Alertă medicală la Eforie Nord: mai multe persoane resimt simptome îngrijorătoare
25/04/2026
199
accident rutier la iesire din ovidiu intervin echipaje de salvare 69ec9e3a854a5
Coliziune pe drumul spre Ovidiu! Echipaje de intervenție în acțiune
25/04/2026
274
cazinoul magnet pentru aromanii care isi marita fetele doua nunti si doi socri mici cu nume mari de la constanta si tulcea 69ec9dff42670
Cazinoul, atracția principală pentru aromânii în căutarea partenerilor pentru fiicele lor: două ceremonii de nuntă și doi socri de seamă din Constanța și Tulcea
25/04/2026
133
stefania mititescu numita secretar general al prefecturii constanta decizia semnata de premierul ilie bolojan 69ec96f6b7369
Ștefania Mitițescu preia conducerea secretariatului Prefecturii Constanța, sub semnătura premierului Ilie Bolojan
25/04/2026
194
oms aproba in premiera un medicament impotriva malariei destinat sugarilor 69ec955fb47cd
OMS dă undă verde, în premieră, unui tratament inovator pentru malarie destinat bebelușilor
25/04/2026
137

Articole recente

  • Iranul aplică pedeapsa capitală unui bărbat suspectat de colaborare cu Mossad în urma tumultului din ianuarie
  • Alertă medicală la Eforie Nord: mai multe persoane resimt simptome îngrijorătoare
  • Coliziune pe drumul spre Ovidiu! Echipaje de intervenție în acțiune
  • Cazinoul, atracția principală pentru aromânii în căutarea partenerilor pentru fiicele lor: două ceremonii de nuntă și doi socri de seamă din Constanța și Tulcea
  • Ștefania Mitițescu preia conducerea secretariatului Prefecturii Constanța, sub semnătura premierului Ilie Bolojan

Comentarii recente

Niciun comentariu de arătat.

Sign Up for Our Newsletter

Subscribe to our newsletter to get our newest articles instantly!

[mc4wp_form id=”847″]

Jurnal de Constanta
Pe platforma noastră de știri găsești cele mai noi informații și analize relevante din multiple domenii: politică, actualitate, economie, internațional, lifestyle, sport și călătorii. Jurnaliștii noștri urmăresc în timp real evenimentele importante din România și de peste hotare, oferindu-ți o perspectivă clară, echilibrată și obiectivă, pentru ca tu să fii mereu la curent cu tot ce contează.
  • Contact
  • Politica de Confidențialitate

© 2025 jurnaldeconstanta.ro

Welcome Back!

Sign in to your account

Nume de utilizator sau Adresa de email
Parola

Ti-ai pierdut parola?